Pesquisadores da UFSC catalogam 44 espécies de peixes que só existem em ilhas remotas no Atlântico

Estudo também envolveu pesquisadores da UFRJ, USP e da Universidade Técnica da Dinamarca

Pesquisadores da Universidade Federal de Santa Catarina (UFSC) catalogaram 44 espécies de peixes recifais que só existem em três pequenas ilhas no Oceano Atlântico. Dessas espécies, duas aparentam ser mais antigas do que a própria ilha de Ascensão, que tem aproximadamente um milhão de anos, é onde são encontradas.

As constatações fazem parte de um novo estudo publicado na quarta-feira, 16 de julho, na revista britânica Proceedings of the Royal Society B e que também envolveu pesquisadores da Universidade Federal do Rio de Janeiro (UFRJ), da Universidade de São Paulo (USP) e da Universidade Técnica da Dinamarca (DTU).

Ilhas de São Pedro e São Paulo (SPSPA), Ascensão (ASC) e Santa Helena (STH) (Foto: Ferrari et al (2024)/Reprodução).

De uma longa cadeia de montanhas submarinas, surgem algumas ilhas, como São Pedro e São Paulo, Ascensão e Santa Helena. Situadas na região conhecida como Dorsal Mesoatlântica, elas possuem 169 espécies de peixes recifais. O artigo de Isadora Cord, pós-graduanda em Ecologia, e Sergio Floeter, professor titular do Departamento de Ecologia e Zoologia da UFSC, reconstruiu rotas evolutivas e padrões de dispersão de 88 espécies que ocorrem na Dorsal Mesoatlântica a partir de dados moleculares e filogenéticos. Quarenta e quatro espécies são endêmicas, ou seja, não existem em nenhum outro lugar do mundo.

Os resultados indicam que, embora 70% das espécies não endêmicas da região tenham origem no Atlântico Oeste, como no Brasil e no Caribe, mais de um terço das espécies endêmicas surgiu a partir do Atlântico Leste e 11% têm raízes ainda mais distantes, no Oceano Índico. O estudo ainda indica que os peixes dessas ilhas têm características diferenciadas de outras espécies recifais.

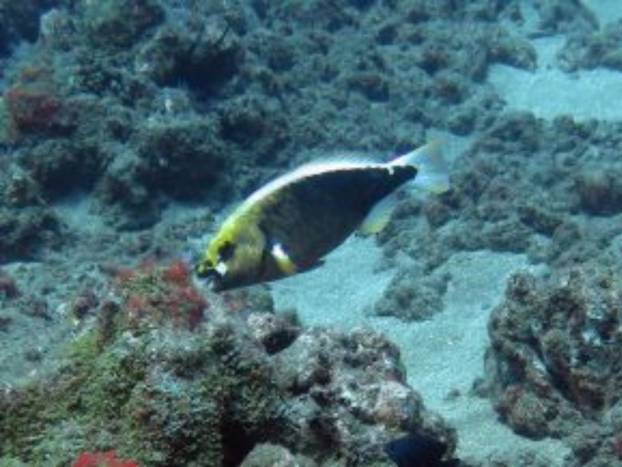
Ophioblennius ainda não descrito da ilha de Ascensão (Foto: Sergio Floeter/Reprodução)
O labrídeo Thalassoma sanctaehelenae é uma marcante espécie endêmica das ilhas de Ascensão e Santa Helena, localizadas ao longo da Dorsal Mesoatlântica (Foto: Luiz Rocha/Reprodução)
Chaetodon sanctaehelenae (Foto: Luiz Rocha)
O peixe-papagaio Sparisoma strigatum endêmico das ilhas de Ascensão e Santa Helena (Foto: Sergio Floeter/Reprodução)

Os cientistas analisaram características ecológicas que ajudam a explicar a capacidade de dispersão dessas espécies até ilhas remotas. Os peixes encontrados nas três ilhas da Dorsal Mesoatlântica tendem a ser maiores e alcançar maiores profundidades. Eles possuem características como ovos pelágicos – que ficam semanas flutuando na água – e habilidade de se deslocar aderidos a algas, troncos ou outros materiais flutuantes, o que aumenta as chances de colonização de ambientes distantes.

Sergio Floeter, um dos autores do artigo, após coleta de dados na Ilha de Ascensão (Foto: L.A. Rocha/Reprodução)

“Ilhas remotas como essas são hotspots de endemismo e nos ajudam a entender como a vida marinha se espalha e se adapta ao longo do tempo. Mas também são ecossistemas vulneráveis e cada espécie única perdida é uma peça insubstituível do quebra-cabeça evolutivo”, explica Isadora Cord, que liderou o artigo. “Os ambientes recifais mesofóticos dessas ilhas, ou seja, entre 80 e 120 metros, estando fora do alcance do mergulho científico convencional com SCUBA, são agora a nova fronteira de estudos, pois ainda podem revelar novas espécies e padrões ecológicos únicos”, aponta o professor Sergio Floeter.

O artigo tem financiamentos do CNPq, da California Academy of Sciences e do projeto Mission Atlantic (European Union’s Horizon 2020).O texto completo está disponível site da The Royal Society.

Fonte: Notícias UFSC